Ref: 2021VG06C
















2 slaapkamers
1 badkamer
972m2 grondopp.
EPC: 658 kWh/m2
Omschrijving
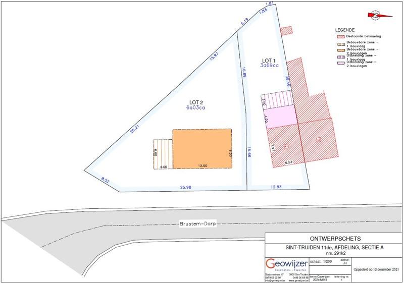
Samen met deze woning wordt een goedgekeurd stedenbouwkundig attest aangeboden waarin de zijdelingse tuin kan afgesplitst worden naar een extra open bebouwing van 6a03ca. Hierdoor is dit project de ideale investeringsopportuniteit.
Het pand heeft echter een totaal renovatie nodig waarmee u de woning volledig kan indelen, uitbreiden en inrichten naar eigen hedendaags comfort en persoonlijke smaak.
Deze halfopen ééngezinswoning is gelegen aan de historische burcht van het bruisende Brustem en nabij de dorpskern met alle faciliteiten voor basis behoeften en vrije tijd.
Voor meer informatie gelieve contact op te nemen met ons kantoor op het nummer 011 19 46 20 of via de website www.immowijzer.com.
Het pand heeft echter een totaal renovatie nodig waarmee u de woning volledig kan indelen, uitbreiden en inrichten naar eigen hedendaags comfort en persoonlijke smaak.
Deze halfopen ééngezinswoning is gelegen aan de historische burcht van het bruisende Brustem en nabij de dorpskern met alle faciliteiten voor basis behoeften en vrije tijd.
Voor meer informatie gelieve contact op te nemen met ons kantoor op het nummer 011 19 46 20 of via de website www.immowijzer.com.
verantwoordelijk kantoor
Kantoor | Immowijzer Sint-Truiden |
Tel. nr | +32 11 19 46 20 |
Indeling
Verdieping -1
Kelder |
Gelijkvloers
Badkamer 1 | ||
Eetkamer | ||
Keuken 1 | ||
Living |
Verdieping 1
Slaapkamer 1 | ||
Slaapkamer 2 |
Verdieping 2
Zolder1 |
Ruimtelijke ordening
Bouwvergunning | Ja |
Recente bestemming | Woongebied met landelijk karakter |
Effectief overstromingsgevoelig |
Ja
|
Mogelijk overstromingsgevoelig | Nee |
Afgebakend overstromingsgebied | Nee |
Afgebakende oeverzone | Nee |
Beschermd pand? | Nee |
EPC gegevens
Energieklasse label |
F
![]() |
EPC waarde | 658 kWh/m² |
658
Comfort
Verwarming | Stookolie |
Beglazing | Enkel glas |
Ramentekst | Hout |
Aansluiting elektriciteit | ja |
Aansluiting riolering | ja |
Aansluiting telefoonlijn | ja |
Aansluiting waterleiding | ja |
Financiële info
Prijs | Info op kantoor |
Overige Info
Vrij op | bij akte na betaling |
Orientatie tuin | W |
Bebouwing
Bebouwing | halfopen |
Bouwjaar | onbekend |
Aantal slaapkamers | 2 |
Aantal badkamers | 1 |
Grond oppervlakte | 972 m² |
Perceelbreedte | 39 m |
Gevelbreedte | 7 m |
Elektrisch keuringsattest | Verkregen, niet conform |
Renovatieplicht | Niet ingegeven |
Alle aanbiedingen gelden onder voorbehoud van fouten, eerdere verkoop, prijswijzigingen of vergetelheid.